土地 福山市新市町大字新市
所在地
福山市新市町大字新市
1,406万円
234.45坪
★建築条件無し
★更地
★郊外の広大な土地
・なかやま牧場ハート新市店まで982m(徒歩12分)
・ファミリーマート新市上戸手店まで793m(徒歩10分)
・スーパードラッグひまわり新市店まで869m(徒歩11分)
・福山市立新市中央中学校まで1,440m(徒歩18分)
・福山市立新市小学校まで258m(徒歩3分)
・新市保育所まで290m(徒歩4分)
・新市郵便局まで545m(徒歩7分)
・中央緑地公園まで106m(徒歩2分)
物件概要
- 交通
-
JR福塩線 まで 徒歩10分
- 接道状況
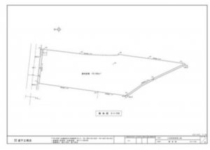
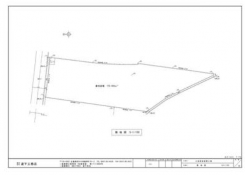
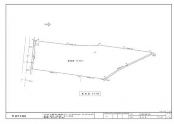
- 北側 公道4.5m 間口約14.7m
- 土地面積
- 775.05㎡ (234.45坪)
- 建ぺい率
- 60%
- 容積率
- 200%
- 土地権利
- セットバック
- 無し
- 小学校区
- 新市 (258m)
- 中学校区
- 新市中央 (1440m)
- 私道負担
- 建築条件
- ー
- 地目
- 田
- 現況
- 更地
- 引渡時期
- 相談
- 上水道
- 下水道
- ガス
- 都市計画
- 市街化区域
- 用途地域
- 1種住居
- 設備・条件
- 備考
- 取引態様
- 仲介


