土地 福山市御幸町大字森脇
所在地
福山市御幸町大字森脇
1,258万円
74.00坪
★74坪の広い土地
森脇バス停停 徒歩5分
福塩線横尾駅より徒歩39分
物件概要
- 交通
-
福塩線 横尾駅 まで 徒歩39分
- 接道状況
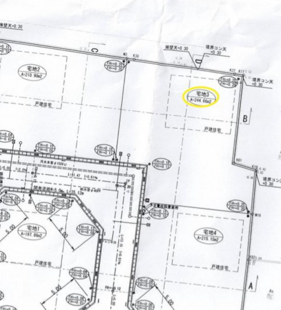
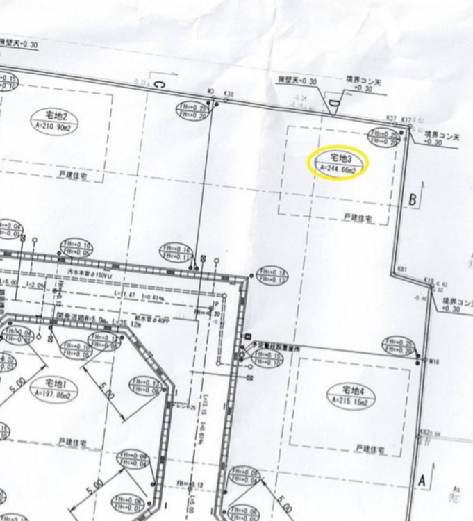
- 西側5m
- 土地面積
- 244.66㎡ (74.00坪)
- 建ぺい率
- 60%
- 容積率
- 200%
- 土地権利
- 所有権
- セットバック
- 無し
- 小学校区
- 御幸
- 中学校区
- 幸千
- 私道負担
- 建築条件
- ー
- 地目
- 現況
- 更地
- 引渡時期
- 上水道
- 下水道
- ガス
- 都市計画
- 市街化区域
- 用途地域
- 1種住居
- 設備・条件
- 備考
- 取引態様
- 仲介


